为进一步改善县城排水设施存在的不足和发展需求,消除县城区存在的内涝易淹积水问题,改造县城建成区雨污合流管道,提升县城人居环境,保障广大群众的生命财产安全,经县人民政府研究,决定实施元谋县县城排水防涝建设项目(2023年~2025年)—兴滨巷、兴江巷道路两侧排水管网系统工程建设。现将有关事项通告如下:
工程建设项目施工时间
2024年9月19日8时~22时至2024年9月30日8时~22时,具体时间节点及通行时限将根据施工进度情况适时调整;
改造内容
兴滨巷、兴江巷排水管网系统改造及混凝土路面恢复。
施工方式
采取半幅封闭施工方式(兴滨巷、兴江巷排水管网设计位置半幅道路),施工期间道路保持半幅交通正常通行。
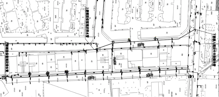
兴滨巷、兴江巷排水管网系统改造施工位置及范围:
 
   
   
温馨提示
请过往车辆自觉遵照现场交通标识标牌执行,并接受现场交通管制人员的指挥,请沿线涉及封路范围内地政府单位、居民、商户提前安排好工作和生活。施工期间,恳请周边政府单位、居民对该工程建设给予理解和支持。如有违反通告内容,对工程造成影响及损失的,将按相关法律法规严肃追究责任。
元谋县住房和城乡建设局
2024年9月18日